冬至を過ぎた頃の朝、低い陽光が海をやさしく撫で、静かな水面に細かな反射を散らしている。12月下旬、高級魚との出会いを求め、三重県にある海上釣り堀・正徳丸の小枠を仲間と貸し切って竿を出すことにした。
(アイキャッチ画像提供:TSURINEWSライター・HAZEKING)
海上釣り堀「正徳丸」へ釣行
正徳丸の魅力は、年間を通して魚種の幅が広い点にある。マダイやシマアジといった主役級に加え、青物も常時期待できる。
さらに冬季には期間限定でヒラメやアカハタ、マハタといった高級魚が放流されるため、事前のエサ選択が釣果を左右する。ダンゴやエビの剥き身はタイ・シマアジ向き、回遊魚狙いにはキビナゴや活アジが欠かせない。
釣り場の様子(提供:TSURINEWSライター・HAZEKING)当日の作戦
この日は前日にマダイの放流が行われており、朝一番の時合いに期待が持てる状況だった。序盤はマダイとシマアジを重点的に狙い、10時前後の放流を合図に青物へ切り替える流れを組み立てた。
43cmマダイで好スタート
潮回りは中潮。12月とは思えない暖気に包まれ、昼には19度近くまで気温が上昇した。南寄りの風の影響で空は重たく、断続的に雨が落ちる。
水色はわずかに濁りが入りつつも、水深5m程度まで魚影が追える状態だった。最初に選んだのはマダイイエロー。タナは底から50cmに設定し、活性の高さを見越して1.5号のオモリで一気に沈める。
仕掛けが落ち着くと、ウキが不規則に揺れた後、鋭く引き込まれた。ひと呼吸置いて合わせると、竿先が細かく震える。間違いなくマダイだ。取り込んだのは43センチの良型。淡い紅色の魚体が朝の光を受け、鱗が折り重なる花弁のように煌めく。理想的な滑り出しとなった。
マダイは数も釣れた(提供:TSURINEWSライター・HAZEKING)40cmシマアジをキャッチ!
やがて反応が鈍ると、フォールの質を変える。オモリを0.5号に軽くし、ダンゴも半量に調整。自然に沈ませると、仕掛けが馴染んだ瞬間に鋭いアタリが入った。
即座に合わせると、ラインが対岸へ一直線に走る。スピード感は明らかにシマアジだ。口切れを防ぐためドラグを緩め、一定のテンションを保ちながら対応。突進を受け止め、無事にネットへ収めた。
サイズは40cm。派手さはないが、無駄を削ぎ落としたような造形が美しい。重い仕掛けを嫌い、違和感の少ないフォールが効果的だったようだ。
キャッチしたシマアジ(提供:TSURINEWSライター・HAZEKING)エサをローテーション
その後はダンゴへの反応が途切れ、シラサエビ、アオイソメ、イワガニへとエサを切り替える。特にイワガニは好反応で、生簀の網に付着している様子からも、日常的な捕食対象であることがうかがえた。
50cmヒラメも登場
朝の時合いが落ち着いた頃、青物が放流された。
青物をキャッチした釣り人も(提供:TSURINEWSライター・HAZEKING)活アジを中央へ入れるが反応は薄い。しかし、沈みながら回遊する青物に刺激されたのか、ヒラメが中層まで浮上してくる。
脈釣り用のロッドに持ち替え、キビナゴを小刻みに動かして誘うと、水深6m付近で明確な重みが乗った。上がってきたのは50cmのヒラメ。見た目以上に身厚で、底で過ごしてきた時間の長さを感じさせる一枚だった。活性の高い個体を、リアクションで引き出せた形だ。
50cmヒラメをキャッチ(提供:TSURINEWSライター・HAZEKING)最終釣果
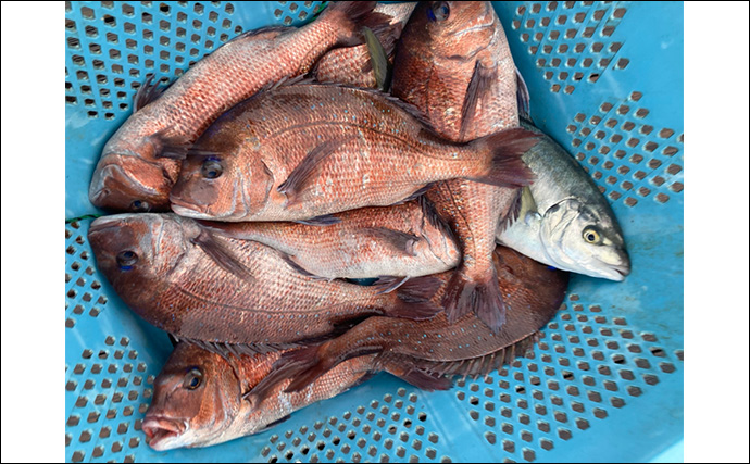
最終的な釣果は、マダイ10匹、シマアジ1匹、ヒラメ1匹。
正徳丸は水質が比較的クリアで、魚の動きが把握しやすい。放流のタイミング、潮の変化、活性の上下を読み取り、エサを柔軟に使い分けることが攻略への近道となるだろう。
刺身にしていただいた(提供:TSURINEWSライター・HAZEKING)
<HAZEKING/TSURINEWSライター>
海上釣り堀 正徳丸


