極寒1℃の真冬でもクロダイは釣れる。三河湾の温排水エリアで鉄板バイブを使ったリアクション攻略を実釣ベースで解説。低水温期の行動パターンと再現性の高い釣り方を紹介。
(アイキャッチ画像提供:TSURINEWSライター・杉浦永)
真冬のクロダイゲーム
クロダイは低水温でも完全に休眠する魚ではなく、真冬でも条件が揃えば口を使う。ただし行動範囲と捕食スイッチは極端に絞られ、レンジはほぼボトム。活発に追うというより、反射で口を使う個体が多いのが特徴だ。
魅力
一匹の価値が非常に高く、読みと戦略がそのまま結果に直結するのが冬のクロダイゲーム。なぜ釣れたのかを論理的に振り返れるのも、この季節ならではの面白さだ。
タックルセッティング
ロッドはML~Mクラス、リールはハイギア、ラインはPEライン1.0号にフロロカーボンライン5号のリーダーを使用。温排水周辺は壁や岩礁帯が多く、根ズレが避けられないため、リーダーは太めが必須となる。
おすすめのルアー
真冬のクロダイはベイトを積極的に追わず、ボトム付近でじっとしていて近くにきた餌を食う個体が多いように思う。そこで有効なのが、鉄板バイブによるリアクション狙い。リフト時の強い波動と、フォール時の急激な姿勢変化で、食うというより反射で口を使わせることができる。特に魚が密集する温排水エリアでは、テンポ良く刺激を与え続けることで反応を得やすい。
ワームでも釣れるクロダイ(提供:TSURINEWSライター・杉浦永)真冬のクロダイゲームというと、どうしてもボトムワームやズル引きを想像しがちだ。しかし、今回あえて鉄板バイブを選んだのには明確な理由がある。低水温期のクロダイは、「食いたい」よりも「邪魔だから反応する」というリアクションバイトが多い。
鉄板バイブの特徴
鉄板バイブは、「リフト時の強烈な波動」「フォール時の急激な姿勢変化」「着底時の金属特有の存在感」これらが合わさり、考える前に口を使わせる力を持っている。
特に温排水のように魚影が濃いエリアでは魚は確実にストックされている。スローすぎる誘いよりも、存在を強くアピールしてリアクションバイトを狙えるルアーの方が釣果に繋がりやすい。
当日の状況
1月22日、夜20時。時折雪がパラつく中、気温は1℃まで低下。三河湾の表層水温は一桁台だったが、狙った温排水エリアは約20℃あり、冷水と温水がぶつかる境目に明確な流れが生まれていた。そこが魚の溜まり場となっていた。
使用したルアー
使用したのはメガバスのX-BLAZAR。リアのスピンテールによる強烈なフラッシングで、目立ちやすく、リアクションバイトを誘発しやすい。
X-BLAZAR(提供:TSURINEWSライター・杉浦永)ただ巻きとリフト&フォールを使い分け、温排水周りの壁や岩礁帯をタイトに攻める。根掛かりしやすい場所なので、常にボトムタッチを意識しながら操作することが重要。
明確なバイトでクロダイ登場!
リフト後のカーブフォールに入った瞬間、ひったくるようなバイト。冬特有の重くなる感覚ではなく、明確な衝撃だった。気温は低くても水温は高く、魚たちは高活性だったと感じる。
クロダイヒット(提供:TSURINEWSライター・杉浦永)根掛かり対策
温排水周辺は、壁・捨て石・配管など障害物だらけ。根掛かりを恐れて避けてしまうと、そもそも魚のいるレンジを通せない。
クロダイ手中(提供:TSURINEWSライター・杉浦永)意識したのは、
・ボトムを「擦る」のではなく「感じる」。
・常にラインテンションを管理する。
・根がかりしたら無理に煽らず、ロッドの角度を優しく変える。
鉄板バイブはロスト覚悟と思われがちだが、操作次第で回避率は大きく上げられる。
多彩魚種がお目見え
潮が動き始めたタイミングで明らかに活性が上昇。
(提供:TSURINEWSライター・杉浦永)同乗者ではイソメの虫エサにアイゴやメジナがヒットしており、温排水エリアにさまざまな魚が集まっていることが分かった。
冬のアイゴは絶品
アイゴは外道扱いされがちで、「臭い」「まずい」と言われることも多い魚だが、実は冬の個体は別物。毒棘を持ち、磯臭いイメージが強いが、その多くは処理の遅れによる臭みが原因だ。
アイゴは絶品(提供:TSURINEWSライター・杉浦永)寒い時期のアイゴは体力を蓄えるため、皮下や身に脂が回る。焼くとふっくら、刺身では甘みが際立ち、評価が一変する。
おすすめ料理
定番はマース煮。塩と出汁だけで煮ることで、アイゴ本来の旨味が引き立つ。新鮮な個体なら刺身も絶品だ。
マース煮(提供:TSURINEWSライター・杉浦永)下処理が味を決める
釣れたらすぐに血抜きし、毒針を慎重にハサミで除去。そして内臓を素早く処理することが重要。この一手間で、臭みのない「ごちそうアイゴ」になる。
釣ったらすぐ捌く(提供:TSURINEWSライター・杉浦永)極寒でも成立するクロダイゲーム
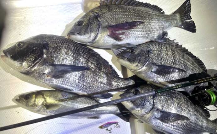
真冬でもクロダイは釣れる。筆者と乗船者の2人で2時間以内に10枚オーバーをゲット!必要なのは、水温・流れ・リアクション。この3つが揃えば、温排水×鉄板バイブは極寒期の有効な戦略となる。
クロダイを数釣り(提供:TSURINEWSライター・杉浦永)<杉浦永/TSURINEWSライター>

